LOADING

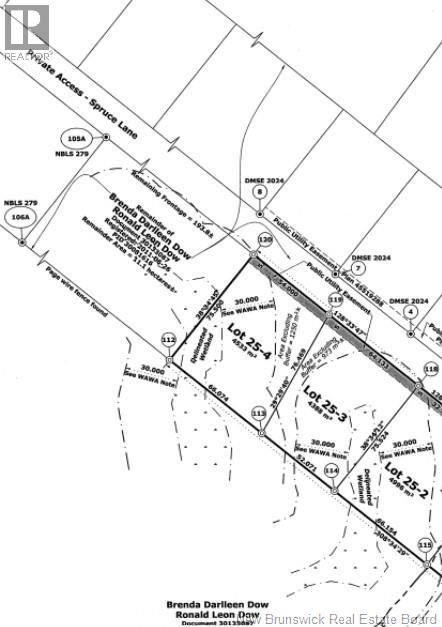
25-3 Spruce Lane Damascus, New Brunswick E5N 4B7

Acreage

$29,000

Looking to build a cottage or home away from it all, but still close enough to everything? This could be the one. 1 Acre lot of heaven on a private road with beach access could be yours. Power is available on the road making hook up easy. Deeded beach rights with access to Terreo Lake where you can swim, fish, skate and even enjoy small watercrafts. HST is applicable. (id:31036)

Property Details

MLS® Number NB130156
Property Type Vacant Land
Amenities Near By Recreation Nearby
Community Features Fishing
Features Beach

Building

Utility Water None

Land

Access Type Year-round Access, Private Road
Acreage Yes
Land Amenities Recreation Nearby
Sewer No Sewage System
Size Irregular 4388
Size Total 4388 M2
Size Total Text 4388 M2

https://www.realtor.ca/real-estate/29166928/25-3-spruce-lane-damascus

Interested?

Contact us for more information


Generating Captcha

Patricia Gallagher
Salesperson

(506) 651-1747

Exit Realty Specialists
1020 Rothesay Road
Saint John, New Brunswick E2H 2H8

(506) 642-3948
(506) 642-7770

Your Favourites

 

No Favourites Found

 

You don't have permission to register