LOADING

355 Hampton Road Quispamsis, New Brunswick E2E 4W1

1525 sqft
Air Conditioned Baseboard Heaters

$329,000

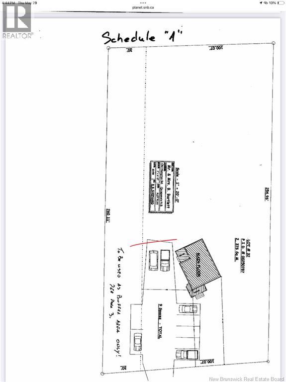
Prime location for a business or a future multi unit. Currently zoned Neighbourhood Commercial, the options to live where you work or generate investment income is all on the table. With 130 ft road frontage, over 10 parking spaces and centrally located in Quispamsis. Propery includes 2 lots in one. 2 bedroom apartment upstairs currently has a tenant $800 heat and lights (this can be separated) and lower unit is vacant with recent updates so is move in ready. Both seacans and quantson are not included and will be removed. All measurements to be confirmed by buyer. Town of Quispamsis must confirm business usage meets Neighbourhood/Commercial zoning. Offers are reviewed on a one to one basis. 24 hr notice to view apartment. 48hr irrevocable required. Proof of financial capability and Schedule A to accompany all offers. (id:31036)

Property Details

MLS® Number NB132834
Property Type Other
Equipment Type Water Heater
Rental Equipment Type Water Heater

Building

Cooling Type Air Conditioned
Heating Type Baseboard Heaters
Size Interior 1525 Sqft
Total Finished Area 1525 Sqft

Land

Acreage No
Size Irregular 33650
Size Total 33650 Sqft
Size Total Text 33650 Sqft
Zoning Description Nc

https://www.realtor.ca/real-estate/29311578/355-hampton-road-quispamsis

Interested?

Contact us for more information


Generating Captcha

Liane Daigle
Salesperson

(506) 333-0076
https://www.facebook.com/506isHome
https://twitter.com/506isHome
https://www.instagram.com/506ishome/

Exit Realty Specialists
1020 Rothesay Road
Saint John, New Brunswick E2H 2H8

(506) 642-3948
(506) 642-7770

Your Favourites

 

No Favourites Found

 

You don't have permission to register